Recently I got interested in radio stuff. So, I bought an SDR radio, some PVC tubing, wire, and coax cables and got to making my first antenna. I followed a tutorial for making the antenna. I’m sure I even made some measuring mistakes along the way. Once I finished, I went out to my balcony at 9PM into the canadian winter cold. When I first tried the antenna out, it didn’t work. So I tried waiting for the next satellite to pass, and it still didn’t work! At this point I was freezing, but I decided to have one more go at trying to capture a pass, and this time it finally worked. Looking back, I think the cause of it not working could have been many factors. One, the satellites might have been passing from behind me, where there was a big metal panel room and trees blocking the sky. Two, the satellites might have not have had enough elevation and because of flaws in the creation of the satellite it couldn’t pick up the signal.
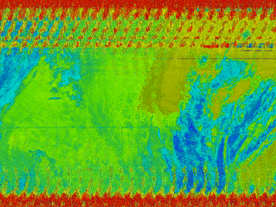
Either way, it worked out nicely! Here are some images from the satellite.
